麻袋回来其实已经很久啦,八月份去的,回来后磨磨蹭蹭,忙东忙西的,今天终于找了个时间,匆忙之中,不足之处还望见谅~~~
首先是选岛,网上N多选岛攻略,就不多叙述了。我们的原则有四:中国人少,浮潜要好,距离不能太近,价格要实惠~~~除了第三条,这些应该也是大部分同学的想法啦!因此首先就剔除了豪华型岛屿,然后逛论坛,看各个岛屿的游记攻略,虽然风景一样美好,总归有些差别。同时在网上跟代理询价,因为同样的一个岛屿其实可能同时会有多个代理,因此可以多番比较,同时代理也会根据需求推荐一些岛屿。寻寻觅觅中,突然偶然看到安嘎嘎,上海出发,还有水飞!激动之余却开始踌躇,安嘎嘎论坛里帖子不多,估计去的人比较少吧,据说外国人多?但是浮潜是一级的,又有说附近有垃圾岛,进一步犹豫,岛的名字也奇奇怪怪的••••••再跟各代理询价,选择,然后又看到安嘎嘎了,这次竟然是8999!可惜不是水飞,原来安嘎嘎有这么远••••••好吧,就这么愉快的决定了!
网上购买面镜呼吸管,因为考虑到卫生问题。其余的脚蹼、水下相机之类的全租(TB),不管会不会游泳的同学,都推荐救生衣(豪华型岛屿有免费提供的除外),珊瑚那个浅啊,一不小心就被划伤,穿个救生衣什么都不用担心啦!当时没有租水母衣,结果后来防晒霜涂的不够,华丽丽的晒伤了~~~第四天在邻居那里借了一套穿~~~文件方面因为我们没有VISA卡,就直接换了美元,护照,笔和纸,泳衣泳裤多带点,洗漱用品,防晒霜50+,转换接头去那里发现不需要(当然其他岛屿就不太懂啦),不放心海水淡化的带瓶装水(我们带了12瓶~~~),记得方便面(我们回来之后习大大就带着彭麻麻去了,还在电视里说不要吃泡面~~~)蜜月的MM记得带白色长裙,在最接近天堂的地方,随便摆拍都是美美的~~~东西一定要带全,没有用不到的~~~
好了,一切准备就绪,出发。同行的还有去三亚的朋友,便一同开车到上海浦东(后来发现去三亚的同学被宰得连死的心情都有,一对比啊,呵呵),找个停车场寄好车子,专车送到机场,凌晨1点半登机~~~马代,我们来了!
PS:注意带件长袖衬衫或者外套,飞机上很冷,斯航的饭菜一般,斯里兰卡转机,飞马累。反正我是一路睡觉~~~
经历了科伦多转机,到达马累,先去买了个电话卡,具体岛多多上有的,我比较懒,不贴链接啦~~200M流量,14分钟国际长途,首先给爸妈电话报平安,我们都是好孩子~~~然后转内陆飞机,再转快艇,一路颠簸,累个半死,终于在当地时间中午12点半到达我们的安嘎嘎,酒店工作人员送上湿毛巾,小黑运送所有行李~~~
然后是安排房间,邻居是一对基本只会说yes和no的无锡同学,蜜月旅行的,因此我还帮忙跟酒店交涉如何安排蜜月套餐(我和老婆因为已经领证过了半年,不好享用蜜月套餐了,实际上这个套餐也是鸡肋),原来不会英语真的也可以出来啊~~~到达后先猛睡一觉,然后出去游泳啦,海水真咸,咸到想吐~~~~~~
之后的几天,基本就是早餐,浮潜,游泳,休息,泡面,电视,浮潜,游泳,桌球,乒乓球,阅读,浮潜,晚餐,电视,睡觉~~~安嘎嘎上有个书屋,里面都是旅行者留下来的各国书籍,同学们想在马代留点痕迹的,可以考虑哦!
安嘎嘎的度假是全自由的,你想做什么, 你要做什么,你正在做什么,都没有人管,马代纯粹是个适合度假发呆的地方。如果想参加岛上组织的深潜,海钓等等,可以在大厅东南角的记事签上打钩报名,但是貌似安嘎嘎上游人不多,经常不能成行哦~~~
坛子里有同学说到马代歧视国人,分的沙屋水屋位置都不好,我们分的确实一般,不过我觉得怪不了东道主啊,那些个外国人来的早,订的早,当然先选好的,也还是有国人住的不错的~~~
酒店包自助早晚餐,中午饿的话泡面。自助餐不错,木瓜巨好吃,其他个东西虽然不太合国人的口味,多吃点总不会错吧~~~注意带点美元零钱,一来给小费,二来自助餐是没有酒水饮料的(早餐当然是有牛奶之类的),需要单点,一杯啤酒大约4美元。最后一天结账即可。
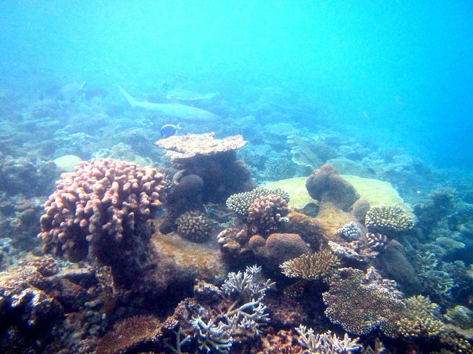
游在马代,一定要浮潜,各色珊瑚美轮美奂,各种热带鱼就在你身边游走,海龟鲨鱼在等着你~~~(近海跟深海间是很深的海沟,第一次游到那边就吓得不轻,回头却看见了美丽的海龟;第二次到海沟,还是害怕的不得了,赶紧回头,然后看到一头鲨鱼冲我游过来了......)
穷游在马代,请勿大声喧哗。我们刚到那几天吃饭时很安静,最后一天来了一波中国人,还带着孩子,围着个大桌子吵得不得了,回程飞机到斯里兰卡转机回上海,偌大的飞机直接就成了大巴车,聊天,随意走动,甚至打牌~~~
安嘎嘎很小,10分钟可以绕岛一圈。沙屋是围岛而建,靠码头的这边浮潜一流,水屋是凸出而建的,因此珊瑚也破坏得差不多了。整个海岛很安静,人很少,蓝天碧海,水清沙白,椰林树影,不说了,直接上图~~~
















